足利市助戸新山町の売地

500万円

栃木県足利市助戸新山町

両毛線「足利」駅徒歩29分

東武伊勢崎線「足利市」駅徒歩42分

東武伊勢崎線「東武和泉」駅徒歩53分

価格
500万円
坪単価
7.8万円(63.82坪)
所在地
栃木県足利市助戸新山町
交通

両毛線足利」駅 徒歩29分

東武伊勢崎線足利市」駅 徒歩42分

東武伊勢崎線東武和泉」駅 徒歩53分

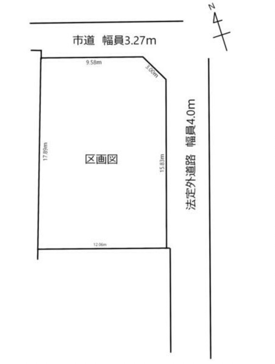
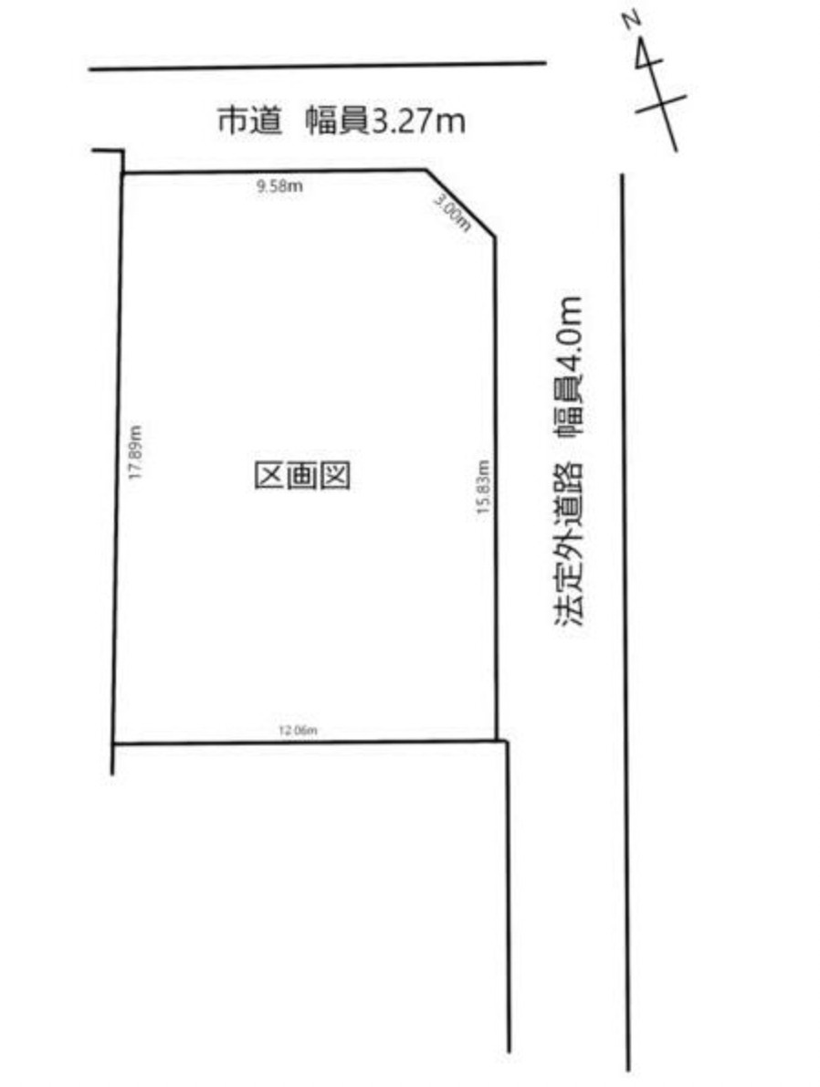
土地面積(坪数)
210.99㎡(63.82坪)
建ぺい率 / 容積率
60% / 200%

セールスポイント

【建築条件無しの整形地】小学校まで徒歩15分圏内でお子様の通学にも安心◆◇家計に優しい都市ガス区域◆◇閑静な住環境です

建築条件無しなので好きな建築業者に依頼することができます。地域の生活情報も不動産情報もまとめて当社にお任せください。足利市エリアの地元密着の不動産会社だから、情報の鮮度が違います。お客様のお問い合わせをスタッフ一同お待ちしております(^o^)

ポイント

更地渡し 閑静な住宅地 土地60坪以上 市街地が近い 接道幅15m以上

担当者のコメント

橋本 祐亮

良好な住環境の保護を目的とした第一種住居地域にあります。買い物の際の道のりも楽になりやすい平坦地です。建築条件なしなので、建築についてじっくり考えられるというメリットがあります。こちらの住宅用地は周囲も充実しており、これから新しい住まいをお考えの方はいかがでしょうか。足利市での土地探しはさくら屋にお任せください。交通アクセスが楽な両毛線足利周辺の土地情報を豊富に取り扱っております(#^^#)

基本情報

販売区画数
-
総区画数
-
土地面積(坪数)
210.99㎡(63.82坪)
坪単価
7.8万円
私道負担面積
割合
-
セットバック
建ぺい率 /
容積率
60% / 200%
高圧線下面積
-
傾斜地部分面積
-
路地状敷地
-
地目
地勢
平坦
造成工事
完了予定
-
土地権利
所有権
建築条件
都市計画
市街化区域
用途地域
第一種住居
接道状況
二方(北 公道 2.5m 間口 9.5m)(東 公道 4.0m 間口 15.8m)
国土法届出要否
不要
最適用途
住宅用地
その他
法令上の制限
景観法
取引態様
仲介
現況
古家有
引渡条件
更地渡
引渡時期
相談
開発許可番号
-
取引条件の
有効期限
2026年05月02日

設備条件

設備条件
  • 陽当り良好 / 閑静な住宅地 / 都市ガス / 公営水道 / 公共下水
設備(その他)
    -

その他

物件番号
78749532
管理コード
-
情報更新日
2026年04月18日
次回更新予定日
2026年05月02日
取扱会社
  • 株式会社さくら屋
  • 栃木県足利市通4丁目2573 
  • TEL:0284212345
  • 栃木県知事 (15) 第508号
  • (公社)栃木県宅地建物取引業協会
    (公社)全国宅地建物取引業保証協会
    (公社)首都圏不動産公正取引協議会
    (公財)東日本不動産流通機構
    (一社)全国賃貸不動産管理業協会
    (公財)日本賃貸住宅管理協会
     全国賃貸管理ビジネス協会
    (株)エイブル ネットワーク加盟(足利店)
     積水ハウス不動産東京(株)シャーメゾンショップ特約店
     大和ハウス工業(株)D-ROOM特約店
     足利商工会議所
    (公社)足利法人会
備考
・解体後に更地渡しとなります。
※上記は、道路後退後の面積です。

15m以上の接道幅があります。立地している第一種住居地域は、容積率・高さ制限が緩いこ
とに加え、3000㎡までの店舗等の住宅以外の建築物も建てることできる地域です。周辺環境が好条件でニーズの高い住宅用地です。土地面積は210.99㎡でイチオシ。当社スタッフに住まい探しのサポートをお任せください。不動産情報はもちろん、地域情報にも詳しいので、きっと役に立てることでしょう(^^)

周辺施設

  • ヤオコー 足利店の画像

    スーパー

    ヤオコー 足利店

    490m(7分)

  • ドラッグストア マツモトキヨシ 足利大橋店の画像

    ドラッグストア

    ドラッグストア マツモトキヨシ 足利大橋店

    505m(7分)

  • カワチ薬品 足利北店の画像

    ドラッグストア

    カワチ薬品 足利北店

    553m(7分)

  • ローソン 足利東砂原後店の画像

    コンビニエンスストア

    ローソン 足利東砂原後店

    718m(9分)

  • 足利第一病院の画像

    総合病院

    足利第一病院

    846m(11分)

  • 足利市立青葉小学校の画像

    小学校

    足利市立青葉小学校

    941m(12分)

  • セブンイレブン 足利利保店の画像

    コンビニエンスストア

    セブンイレブン 足利利保店

    982m(13分)

  • 足利みどり幼稚園の画像

    幼稚園

    足利みどり幼稚園

    1195m(15分)

  • 足利市立第二中学校の画像

    中学校

    足利市立第二中学校

    1392m(18分)

  • ashico town(アシコタウン)あしかがの画像

    ショッピングセンター

    ashico town(アシコタウン)あしかが

    1790m(23分)

支払いシミュレーション

月々の支払額

※実際の金額と異なる場合があります。

購入希望物件価格
万円
頭金
万円
金利
%
返済額(ボーナス1回分)
万円
返済期間

※ボーナスは自動で年2回分で計算されます。

近隣の物件

  1. 足利市八幡町の土地

    足利市八幡町

    - (198.00㎡)

    850万円

よく見られている物件

  1. 足利市堀込町の売地

    足利市堀込町

    - (229.00㎡)

    598万円

  2. 足利市堀込町の売地

    足利市堀込町

    - (610.40㎡)

    2,585万円

  3. 足利市田中町の売地

    足利市田中町

    - (355.25㎡)

    1,750万円

  4. 足利市田中町の売地

    足利市田中町

    - (2933.87㎡)

    4,000万円

足利市助戸新山町の売地

足利市助戸新山町の売地

500万円

-(210.99㎡)

お気軽にお問い合わせください

無料お問い合わせ

株式会社さくら屋

0284212345

9:30 ~17:00

(休:火曜・水曜・他)