足利市助戸新山町の売地

580万円

栃木県足利市助戸新山町

両毛線「足利」駅徒歩29分

東武伊勢崎線「足利市」駅徒歩42分

東武伊勢崎線「東武和泉」駅徒歩53分

価格
580万円
土地面積(坪数)
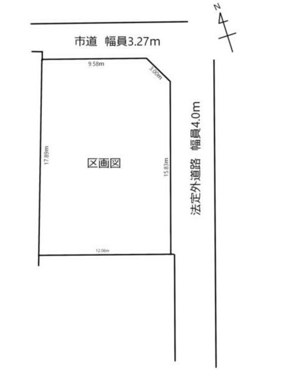
210.99㎡(63.82坪)
所在地
栃木県足利市助戸新山町
築年
-(-)
駐車
-
交通

両毛線足利」駅 徒歩29分

東武伊勢崎線足利市」駅 徒歩42分

東武伊勢崎線東武和泉」駅 徒歩53分

足利市助戸新山町の売地の基本情報

物件名
足利市助戸新山町の売地
価格
580万円
土地面積
210.99㎡
築年月
-(-)
総区画数
-
所在地
栃木県足利市助戸新山町
交通

両毛線足利」駅 徒歩29分

東武伊勢崎線足利市」駅 徒歩42分

東武伊勢崎線東武和泉」駅 徒歩53分

足利市助戸新山町の売地の詳細情報

設備条件
  • 閑静な住宅地
設備(その他)
    -
駐車場/月額
-/-
土地権利
所有権
国土法届出
不要
用途地域
第一種住居
区画数
- / -
管理形態
-
管理員の勤務形態
-
管理会社
-
取引態様
仲介
引渡し
相談
開発許可番号
-

足利市助戸新山町の売地で募集中の物件

  1. 63.82坪 (210.99㎡)

    580万円(9万円/坪)

周辺施設

  • ヤオコー 足利店の画像

    スーパー

    ヤオコー 足利店

    490m(7分)

  • ドラッグストア マツモトキヨシ 足利大橋店の画像

    ドラッグストア

    ドラッグストア マツモトキヨシ 足利大橋店

    505m(7分)

  • カワチ薬品 足利北店の画像

    ドラッグストア

    カワチ薬品 足利北店

    553m(7分)

  • ローソン 足利東砂原後店の画像

    コンビニエンスストア

    ローソン 足利東砂原後店

    718m(9分)

  • 足利第一病院の画像

    総合病院

    足利第一病院

    846m(11分)

  • 足利市立青葉小学校の画像

    小学校

    足利市立青葉小学校

    941m(12分)

  • セブンイレブン 足利利保店の画像

    コンビニエンスストア

    セブンイレブン 足利利保店

    982m(13分)

  • 足利みどり幼稚園の画像

    幼稚園

    足利みどり幼稚園

    1195m(15分)

  • 足利市立第二中学校の画像

    中学校

    足利市立第二中学校

    1392m(18分)

  • ashico town(アシコタウン)あしかがの画像

    ショッピングセンター

    ashico town(アシコタウン)あしかが

    1790m(23分)

近隣の物件

  1. 足利市八幡町

    - (198.00㎡)

    850万円

よく見られている物件

  1. 足利市堀込町

    - (229.00㎡)

    598万円

  2. 足利市堀込町

    - (610.40㎡)

    2,585万円

  3. 足利市田中町

    - (355.25㎡)

    1,850万円

  4. 足利市堀込町

    - (243.65㎡)

    990万円

足利市助戸新山町の売地

お気軽にお問い合わせください

無料お問い合わせ

株式会社さくら屋

0284212345

9:30 ~17:00

(休:火曜・水曜・他)